Балтимор-Вашингтон

Международный аэропорт Балтимор-Вашингтон
имени Тэргуда Маршалла[1]
англ. Baltimore/Washington International Thurgood Marshall Airport
ИАТА: BWIИКАО: KBWI[2]
Информация
Вид аэропорта международный аэропорт, аэропорт и коммерческий аэродром
Страна  США
Расположение округ Энн-Эрандел
Дата открытия 24 июня 1950[3]
Владелец Maryland Aviation Administration[4][5]
Оператор Maryland Aviation Administration[4][5][…]
Высота НУМ 45 м и 44 м
Площадь
  • 3596,3 акр (апрель 2018)[6]
Время работы круглосуточно
Сайт Официальный сайт
Карта
Балтимор-Вашингтон (Мэриленд)
Точка
Взлётно-посадочные полосы
Номер Размеры (м) Покрытие
4/22 1829 асфальт
10/28 3201 асфальт
15L/33R 1524 асфальт
15R/33L 2896 асфальт
H1 30 асфальт
Статистика
Годовой пассажиропоток 23,823,532 человек (2015)
Логотип Викисклада Медиафайлы на Викискладе
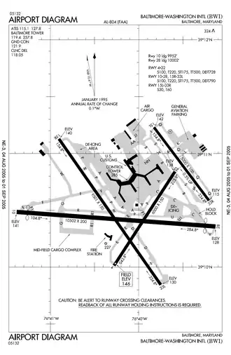
Схема взлётно-посадочных полос аэропорта

Международный аэропорт Балтимор-Вашингтон[7], также известный как BWI (ИАТА: BWI, ИКАО: KBWI, FAA LID: BWI), — гражданский аэропорт, обслуживающий коммерческие авиаперевозки населённого района конгломерата городов Балтимор и Вашингтон. Порт носит официальное название в честь уроженца Балтимора, первого афроамериканца — судьи Верховного суда Соединённых Штатов Америки Тэргуда Маршалла.

Аэропорт находится в северной части территории округа Энн-Эрандел (штат Мэриленд) в 16 километрах к югу от Балтимора и в 48 километрах к северо-востоку от города Вашингтон (округ Колумбия)[8]. В 2008 году услугами аэропорта воспользовалось почти 20,49 миллионов человек, что на 2,6 % меньше по сравнению с предыдущим годом. По показателю пассажирооборота в год аэропорт вышел на 24-е место среди коммерческих воздушных гаваней Северной Америки[9], а по показателю количество взлётов и посадок воздушных судов в год — на 49-е место среди всех аэропортов мира[10].

В 2010 году Балтимор-Вашингтон назван наилучшим гражданским аэропортом мира в классе обслуживания от 15 до 25 млн пассажиров в год по версии Международного Совета аэропортов[11].

Международный аэропорт Балтимор-Вашингтон является вторичным транзитным узлом авиаперевозок (хабом) бюджетной авиакомпании США AirTran Airways и одним из основных пунктов назначения крупнейшего мирового дискаунтера Southwest Airlines.

История

После окончания Второй мировой войны по заказу властей городов Балтимор и Вашингтон был разработан проект строительства гражданского аэропорта для обеспечения воздушного сообщения густонаселённого района с другими районами страны. В 1947 году в северной части округа Энн-Эрандел был выкуплен участок площадью 13 км², на территории которого был снесен храм баптистской церкви дружбы[12]. Работы по строительству аэропорта завершились в мае 1950 года, а 24 июня того же года президент США Гарри Трумэн официально открыл сданный в эксплуатацию Международный аэропорт Дружба, первые коммерческие рейсы из которого начались в середине следующего месяца. В 1957 году аэропорт был сертифицирован под обслуживание реактивных самолётов Boeing 707[13].

В 1972 году Международный аэропорт Дружба был приобретён за 36 миллионов долларов США властями штата Мэриленд в лице Департамента транспорта штата, в составе которого было создано Управление гражданской авиации штата Мэриленд. В течение следующих нескольких лет число сотрудников аэропорта выросло с трёх человек до двухсот и практически сразу после приобретения главой транспортного департамента штата (впоследствии — его губернатором) Гарри Хьюзом было обнародован масштабный генеральный план по обновлению, расширению и модернизации объектов инфраструктуры всех аэропортов штата Мэриленд[14].

В 1973 году аэропорт сменил своё название на Международный аэропорт Балтимор-Вашингтон[14], данный шаг был предпринят в качестве одного из этапов маркетинговой программы привлечения пассажиров туристических направлений и регулярных рейсов в Вашингтон. Прежний код ИАТА «BAL» аэропорта сохранялся вплоть до 1982 года, поскольку код «BWI» в данном периоде был закреплён за другим коммерческим аэропортом.

Первая фаза плана модернизации и реконструкции аэропорта обошлась в 30 миллионов долларов США и завершилась в середине 1974 года. В рамках первого этапа были построены три новых грузовых терминала общей площадью 2,53 гектар и введена в действие курсо-глиссадная система захода самолётов на посадку по приборам. Второй этап обновления аэропортового комплекса включал в себя наиболее масштабные работы по реконструкции и модернизации инфраструктуры и был завершён в 1979 года. В рамках данного этапа площадь пассажирского терминала аэропорта увеличилась более чем вдвое и достигла 14,58 гектар, количество выходов на посадку (гейтов) достигло 27 единиц против первоначальных 20[14]. Стоимость работ по второго этапу составила 70 миллионов долларов США в ценах 1979 года[14]. В дальнейшем, для продолжения модернизации аэропортовой инфраструктуры был создан Совет по поддержке инициатив в развитии аэропорта[14].

В 1980 году в аэропорту открылся железнодорожный вокзал «BWI», с помощью которой пассажиры получили доступ к самой загруженной железнодорожной ветке США — так называемому Северо-Восточному Коридору. С открытием вокзала Международный аэропорт Балтимор-Вашингтон стал первым аэропортом Соединённых Штатов, имеющим доступ к железнодорожной магистрали с междугородними маршрутами[15]. В частности, пассажиры без пересадок могут доехать до Вашингтона в отличие отсутствия подобного сервиса, например, в Международном аэропорту Вашингтон Даллес. В конце 1990-х годов введёно в эксплуатацию новое здание международного терминала (конкорс E). Несмотря на все нововведения львиную долю международных перевозок в регионе продолжает занимать второй вашингтонский аэропорт имени Даллеса, хотя объём пассажирооборота и количество регулярных рейсов из Международного аэропорта Балтимор/Вашингтон стабильно растут из года в год. Старожилами аэропорта на международных направлениях считаются британская национальная авиакомпания British Airways и ныне несуществующая флагманская авиакомпания Ямайки Air Jamaica. В порту на регулярных международных направлениях в разные периоды работали зарубежные компании Aer Lingus, Air Aruba, Air Greenland, El Al, Ghana Airways, Icelandair, KLM и Mexicana.

В 1990-х годах Международный аэропорт Балтимор-Вашингтон являлся одним из главных концентратором для магистральной авиакомпании US Airways, однако финансовые трудности перевозчика и последовавший кризис в отрасли пассажирских перевозок после событий 11 сентября 2001 года заставили US Airways свернуть большинство регулярных маршрутов из данного аэропорта. В сентябре 1993 году в BWI крупнейшая бюджетная авиакомпания Southwest Airlines, последовательно из года в год укрупнявшая собственную маршрутную сеть в аэропорту, пока не стала в настоящее время крупнейшим оператором пассажирских перевозок аэропорта BWI[9]. В 2008 году на долю Southwest Airlines пришлось 51,9 % всех перевезённых пассажиров Международного аэропорта Балтимор-Вашингтон, авиакомпания AirTran Airways перевезла 13,98 % всех пассажиров, Delta Air Lines — 7,12 %, US Airways — 6,48 % и United Airlines — 5,74 % от всего объёма пассажирооборота аэропорта за год[9][16][17].

В соответствии с растущими потребностями компании Southwest Airlines в 2005 году были проведены работы по существенному расширению Конкорсов A и B, их модернизации и соединению друг с другом системой переходов. Новая структура была сдана в эксплуатацию 22 мая 2005 года и в настоящее время используется только авиакомпанией Southwest Airlines. 1 октября того же года аэропорт сменил своё официальное название на Международный аэропорт Балтимор-Вашингтон имени Тэргуда Маршалла в честь уроженца Балтимора, первого афроамериканца — судьи Верховного суда США[18].

Международный аэропорт Балтимор-Вашингтон использовался в съёмках известных фильмов «Молчание ягнят», «Голдфингер», «Телевизионные новости» и «12 обезьян».

Пассажирские терминалы

Международный аэропорт Балтимор-Вашингтон имени Тэргуда Маршалла работает в пяти конкорсах, два из которых в 2005 году фактически объединены в один большой терминал:

  • Конкорсы A/B;
  • Конкорс C;
  • Конкорс D и
  • Конкорс E, в котором обслуживаются все международные рейсы, пассажиры которых не прошли предварительный таможенный досмотр в аэропортах вылета.

Конкорс E также носит второе официальное название «Международный терминал имени губернатора Уильяма Дональда Шефера».

Авиакомпании и пункты назначения

Здание пассажирского терминала аэропорта
Зал регистрации билетов авиакомпании Southwest Airlines в конкорсах A/B
Зал ожидания в здании Конкорса C
Международный терминал аэропорта (Конкорс E)
Зал выдачи багажа Международного аэропорта Балтимор-Вашингтон
АвиакомпанияПункты назначенияКонкорс
Air Canada JazzТоронто (Пирсон)E
AirTran AirwaysАтланта, Бостон, Канкун, Шарлотт, Даллас/Форт-Уэрт (сезонный), Дейтон, Форт-Лодердейл, Форт-Майерс, Гранд-Рапидс, Хантсвилл, Индианаполис, Джэксонвилл, Лос-Анджелес, Майами, Милуоки, Монтего-Бей, Нассау, Новый Орлеан, Орландо, Портленд, Рочестер (Нью-Йорк), Сан-Антонио (сезонный), Сан-Хуан, Сарасота/Брейдентон, Сиэтл/Такома (сезонный), Тампа, Уэст-Палм-БичD
American AirlinesДаллас/Форт-Уэрт, Майами, Сан-ХуанC
American EagleЧикаго (О'Хара), Нью-Йорк (Джона Кеннеди)C
British AirwaysЛондон (Хитроу)E
Cape AirХейгерстаун, ЛанкастерD
Caribbean AirlinesМонтего-БейE [19]
Continental AirlinesХьюстон (Интерконтинентал)D
Continental Express
выполняет Chautauqua Airlines
КливлендD
Continental Express
выполняет ExpressJet Airlines
Кливленд, Ньюарк (Либерти)D
Delta Air LinesАтланта, Детройт, Мемфис, Миннеаполис/Сент-Пол, Солт-Лейк-СитиC
Delta Connection
выполняет Chautauqua Airlines
Цинциннати/Северный Кентукки, Нью-Йорк (Джона Кеннеди)C
Delta Connection
выполняет Comair
Нью-Йорк (Джона Кеннеди)C
Delta Connection
выполняет Compass Airlines
Миннеаполис/Сент-ПолC
Delta Connection
выполняет Freedom Airlines
Цинциннати/Северный КентуккиC
Delta Connection
выполняет Mesaba Airlines
МемфисC
JetBlue AirwaysБостонC
LocairБекли (Западная Виргиния)здание авиации
общего назначения
Pet AirwaysФармингдейл (Нью-Йорк)здание авиации
общего назначения
Southwest AirlinesОлбани (Нью-Йорк), Альбукерке, Остин, Бирмингем (Алабама), Бостон, Буффало, Чикаго (Мидуэй), Кливленд, Колумбус (Огайо), Денвер, Детройт, Форт-Лодердейл, Форт-Майерс, Хартфорд/Спрингфилд, Хьюстон (Гобби), Индианаполис, Джексон, Джэксонвилл, Канзас-Сити, Лас-Вегас, Литтл-Рок, Лонг-Айленд/Айслип, Лос-Анджелес (сезонный), Луисвилл, Манчестер (Нью-Гэмпшир), Милуоки, Нашвилл, Новый Орлеан, Нью-Йорк (Ла Гардиа), Норфолк, Оклахома-Сити, Орландо, Панама-Сити (Флорида), Финикс, Питтсбург, Провиденс, Роли/Дарем, Сент-Луис, Солт-Лейк-Сити, Сан-Антонио, Сан-Диего, Сиэтл/Такома (сезонный), Тампа, Уэст-Палм-БичA/B
United AirlinesЧикаго (О'Хара), Денвер, Лос-Анджелес, Сан-ФранцискоD
USA3000 AirlinesБердмуды, Канкун, Пунта Кана - все сезонные рейсыE
US AirwaysШарлотт, Филадельфия, ФиниксD
US Airways Express
выполняет Air Wisconsin
ФиладельфияD
US Airways Express
выполняет Chautauqua Airlines
ФиладельфияD
US Airways Express
выполняет Piedmont Airlines
Нью-Йорк (Ла Гардиа), ФиладельфияD
US Airways Express
выполняет PSA Airlines
Шарлотт, ФиладельфияD
US Airways Express
выполняет Republic Airways
Шарлотт, ФиладельфияD

Залы повышенной комфортности

  • Авиакомпания British Airways содержит в Конкорсе E собственный зал повышенной комфортности, который расположен у входа в здание конкорса. Сервисом зала также могут воспользоваться пассажиры других авиакомпаний, работающих на международных направлениях;
  • общественная организация United Service Organizations содержит зал повышенной комфортности в переходе между зданиями конкорсов D и E. Сервисом зала USO пользуются американские военнослужащие и члены их семей.

Операционная деятельность

В период с 31 декабря 2007 по 31 декабря 2008 года Международный аэропорт Балтимор-Вашингтон обработал 277 622 операции по взлётам и посадкам воздушных судов (в среднем 761 операция ежедневно), из них 90 % пришлось на регулярные коммерческие рейсы, 10 % составили рейсы авиации общего назначения и менее одного процента заняли рейсы военной авиации. В указанный период в аэропорту базировалось 86 воздушных судов, из которых 58 — одномоторные самолёты, 16 — многомоторные и 12 — реактивные лайнеры[1].

Учитывая почти постоянные направления ветров с севера или запада взлёт самолётов производится в основном с взлётно-посадочной полосы 33L, а посадка — на взлётно-посадочную полосу 28. При изменении направления ветров с юга или востока для посадок лайнеров используется полоса 10, а для их взлёта — взлётно-посадочная полоса 15R. Короткая ВПП 33R/15L применяется для обслуживания небольших турбовинтовых самолётов. На взлётно-посадочную полосу 4/22 запрещена посадка воздушных судов, сама полоса используется для взлётов самолётов и для руления на другие ВПП[1].

Примечания

  1. 1 2 3 Данные базы аэропортов ФАИ BWI (Form 5010 PDF), retrieved 2009-11-25
  2. https://www.faa.gov/airports/airport_safety/airportdata_5010/
  3. https://www.bwiairport.com/flying-with-us/about-bwi/bwi-timeline
  4. 1 2 http://www.marylandaviation.com/
  5. 1 2 https://www.bwiairport.com/flying-with-us/about-bwi/about-mdot-maa
  6. https://www.bwiairport.com/flying-with-us/about-bwi/facts-figures
  7. Вашингтон : [арх. 21 октября 2022] / С. Г. Павлюк, А. Н. Шукурова // Большой Кавказ — Великий канал. М. : Большая российская энциклопедия, 2006. — С. 673—675. — (Большая российская энциклопедия : [в 35 т.] / гл. ред. Ю. С. Осипов ; 2004—2017, т. 4). — ISBN 5-85270-333-8.
  8. «Linthicum CDP, Maryland Архивная копия от 6 июня 2011 на Wayback MachineБюро переписи населения США, Retrieved on March 3, 2010.
  9. 1 2 3 2008 North American Final Rankings Архивировано 8 февраля 2008 года.. Airports Council International, retrieved February 17, 2010.
  10. Top World Airports 2008 Final Rankings Архивировано 8 февраля 2008 года.. Airports Council International, retrieved February 17, 2010.
  11. « Архивная копия от 28 января 2012 на Wayback MachineBaltimore Sun, Retrieved on April 14, 2010.
  12. «The church was razed to make room for Friendship Airport» Архивная копия от 22 февраля 2014 на Wayback Machine Friendship Church
  13. «BWI History at a Glance» Архивировано 8 декабря 2009 года. BWI Airport Timeline: 1950-59, retrieved 2009-11-16
  14. 1 2 3 4 5 «BWI History at a Glance» Архивировано 8 декабря 2009 года. BWI Airport Timeline: 1970-79, retrieved 2009-11-17
  15. «BWI History at a Glance» Архивировано 8 декабря 2009 года. BWI Airport Timeline: 1980-89, retrieved 2009-11-17
  16. Southwest Airlines’ Top Ten Airports. Southwest Airlines. Дата обращения: 10 сентября 2009. Архивировано 26 апреля 2012 года.
  17. Formichelli, Linda. «Magazine picks America’s healthiest airports Архивная копия от 16 декабря 2008 на Wayback MachineCNN. Wednesday December 17, 2008. Retrieved on October 21, 2009.
  18. «BWI History at a Glance» Архивировано 8 декабря 2009 года. BWI Airport Timeline: 2005, retrieved 2009-11-17
  19. South Florida Caribbean News (недоступная ссылка)

Ссылки