История поисков воды на Марсе
На сегодняшний день межпланетные космические аппараты предоставили многочисленные свидетельства воды на Марсе, начиная с миссии Маринер-9 в 1971 году. В этой статье описаны космические программы, целью которых было изучение Марса.
Маринер-9
Маринер-9 за 349 дней работы на околомарсианской орбите передал в общей сложности 7329 снимков. На снимках видны русла высохших рек, каньоны (включая долины Маринера — гигантскую систему каньонов длиной свыше 4000 километров, названную в честь научных достижений станции Маринер-9), признаки ветровой и водной эрозии, погодные фронты, туман и ещё много интересных подробностей[1].
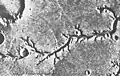
Долина Ниргал. Фото с АМС Маринер-9.
Долины Маринер
Данные, полученные Маринером-9, стали основой для планирования программы «Викинг».
Программа «Викинг»
Обнаружив многочисленные геологические образования, очень напоминающие следы водной эрозии, «Викинги» сделали революцию в идеях о воде на Марсе. Были обнаружены огромные речные долины, некоторые из которых простираются на тысячи километров. Получены свидетельства некогда прошедших дождей на планете.[2]
Ниже представлены одни из лучших фото, сделанных орбитальными станциями «Викинг».

Предполагается, что во время образования подобных кратеров таяли массивы льда.
Острова, имеющие форму капли, должны были образоваться бурным течением. Острова находятся в устье Долины Арес, неподалеку от Равнины Хриса.[3]
Ветвистые каналы предполагают, что на Марсе шли дожди в прошлом.
Эксперименты, сделанные в ходе программы «Викинг», доказывают, что на Марсе была вода в прошлом и может быть в наши дни. Были обнаружены химические элементы, которые могли остаться после испарения морей с поверхности Марса. Викинг-2 находился севернее, чем Викинг-1, и на его снимках, сделанных в зимнее время, видны заморозки и оледенения.
Заморозки на посадочном месте.
Заморозки на поверхности Марса.
Mars Global Surveyor
В ходе проекта были обнаружены сотни каналов, оврагов и колодцев, которые должны были образоваться под действием жидкой воды в древности.[4][5][6][7]
- Водостоки на склоне кратера Кайзера.
Цветное изображение каналов. Хаос Горгонам.
На огромных областях Марса обнаружены некая оболочка, которая покрывает всё, кроме самых крутых камней. Оболочка иногда гладкая, иногда в ямах. Некоторые учёные полагают, что эти образования вызваны сублимацией (превращение льда сразу в пар) погребённого льда.
- Приближенное изображение Четырехугольника Фаэтонти, сделанное Mars Global Surveyor. Полагается, что ямы вызваны сублимацией.
- Мантия украшает большую часть поверхности участка. Отсутствие камней на крутом склоне. Четырехугольник Озера Исмениус.
InSight
В ноябре 2018 года аппарат InSight доставил на Марс исследовательский посадочный аппарат с сейсмометром SEIS[8][9]
В 2024 году были опубликованы результаты проведённого под руководством Вашана Райта, геофизика из Калифорнийского университета в Сан-Диего анализа данных, собранных этим аппаратом в ходе четырёхлетней миссии, которая завершилась в 2022 году. Исследователи пришли к выводу, что наличие жидкой воды в коре Марса на глубине 11,5 — 20 км наиболее правдоподобно объясняет полученные данные[10][11].
Примечания
- ↑ Mariner 8 & 9. Дата обращения: 28 июля 2018. Архивировано 10 января 2019 года.
- ↑ Channels. History.nasa.gov. Дата обращения: 28 июля 2018. Архивировано 28 ноября 2020 года.
- 1 2 3 ch4. history.nasa.gov. Дата обращения: 29 июля 2018. Архивировано 28 ноября 2020 года.
- ↑ Mars Global Surveyor MOC2-1618 Release. Msss.com. doi:10.1126/science.288.5475.2330. — . Дата обращения: 7 октября 2010. Архивировано 1 июля 2010 года.
- ↑ Malin, M. et al. 2006. Present-Day Impact Cratering Rate and Contemporary Gully Activity on Mars. science: 314. 1573—1577
- ↑ Changing Mars Gullies Hint at Recent Flowing Water. SPACE.com (6 декабря 2006). Дата обращения: 7 октября 2010. Архивировано 12 сентября 2010 года.
- ↑ Mars Global Surveyor MOC2-239 Release. Mars.jpl.nasa.gov. Дата обращения: 7 октября 2010. Архивировано 7 июня 2011 года.
- ↑ InSight... into the Early Evolution of Terrestrial Planets (англ.). NASA facts. NASA JPL. Дата обращения: 26 сентября 2013. Архивировано из оригинала 28 сентября 2013 года.
- ↑ Landing: summary (англ.). NASA. Архивировано 27 ноября 2018 года.
- ↑ Ученые впервые обнаружили на Марсе воду в жидком состоянии (14 августа 2024). Дата обращения: 20 августа 2024. Архивировано 20 августа 2024 года.
- ↑ Wright, Vashan; Morzfeld, Matthias; Manga, Michael (2024-08-12). David Kohlstedt (ed.). Liquid water in the Martian mid-crust. PNAS. 121 (35): e2409983121. doi:10.1073/pnas.2409983121. PMID 39133865.