Akalyptoischion
Akalyptoischion | ||||||||||||||||
|---|---|---|---|---|---|---|---|---|---|---|---|---|---|---|---|---|
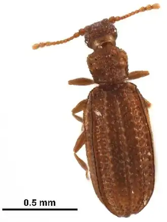
![]() Akalyptoischion sp. | ||||||||||||||||
| Научная классификация | ||||||||||||||||
|
||||||||||||||||
| Латинское название | ||||||||||||||||
| Akalyptoischion Andrews, 1976 | ||||||||||||||||
| Типовой вид | ||||||||||||||||
| ||||||||||||||||
|
Akalyptoischion (лат.) — род жуков из семейства Akalyptoischiidae Lord et al., 2010 (ранее в составе семейства Latridiidae). В 2010 году род был выделен в отдельное семейство[1].
Распространение
Западные и южные штаты США (Айдахо, Аризона, Калифорния, Невада, Оклахома, Орегон, Техас, Юта) и Мексика[1][2].
Описание
Мелкие жуки длиной 1—2 мм. Тело слегка сплющенное. Окраска от жёлтоватой до красно-коричневой. Пронотум субквадратный, сужающийся по направлению кзади. Надкрылья сбоков почти параллельные. Усики 11-члениковые с 2—3-члениковой булавой, прикреплены латерально рядом с основанием крупных зазубренных мандибул. Глаза редуцированные, состоят из 2—6 фасеток, чёрные, расположены на задних углах головы. Крупный лабрум латерально охватывает клипеус. Максиллярные щупики состоят из 4 члеников, а лабиальные — из одного[2].
Систематика
В 1976 году род был описан в составе семейства Latridiidae[2]. В 2010 на основе подробного и всестороннего анализа (включая исследование семи рибосомальных генов 12S, 16S и 18S, цитохрома и гистона) род был выделен в самостоятельное семейство Akalyptoischiidae Lord, Hartley, Lawrence, McHugh, Whiting and Miller, 2010[1].
Список видов
Около 25 видов.
- Akalyptoischion anasillos Andrews, 1976 — Калифорния[2]
- Akalyptoischion atrichos Andrews, 1976 — Калифорния[2]
- Akalyptoischion bathytrematos Hartley, Andrews & McHugh, 2008[3]
- Akalyptoischion chandleri Andrews, 1976 — Аризона[2]
- Akalyptoischion delotretos Hartley, Andrews & McHugh, 2008[3]
- Akalyptoischion diadeletron Hartley, Andrews & McHugh, 2008[3]
- Akalyptoischion dyskritos Hartley, Andrews & McHugh, 2008[3]
- Akalyptoischion echinos Hartley, Andrews & McHugh, 2008[3]
- Akalyptoischion gigas Hartley, Andrews & McHugh, 2008[3]
- Akalyptoischion giulianii Andrews, 1976 — Калифорния[2]
- Akalyptoischion hadromorphus Hartley, Andrews & McHugh, 2008[3]
- Akalyptoischion heptalocos Hartley, Andrews & McHugh, 2008[3]
- Akalyptoischion heterotrichos Hartley, Andrews & McHugh, 2008[3]
- Akalyptoischion hormathos Andrews, 1976 — Калифорния[2]
- Akalyptoischion lasiosus Hartley, Andrews & McHugh, 2008[3]
- Akalyptoischion leptosoma Hartley, Andrews & McHugh, 2008[3]
- Akalyptoischion parechinos Hartley, Andrews & McHugh, 2008[3]
- Akalyptoischion pogonias Hartley, Andrews & McHugh, 2008[3]
- Akalyptoischion polytremetron Hartley, Andrews & McHugh, 2008[3]
- Akalyptoischion prionotus Hartley, Andrews & McHugh, 2008[3]
- Akalyptoischion quadrifoveolata (Fall, 1899) — Калифорния[2]
- = Cartodere quadrifoveolata
- Akalyptoischion sleeperi Andrews, 1976 — Калифорния[2]
- Akalyptoischion texas Hartley, Andrews & McHugh, 2008[3]
- Akalyptoischion tomeus Andrews, 1976 — Калифорния[2]
См. также
Примечания
- 1 2 3 Lord, N. P.; Hartley, C. S.; Lawrence, J. F.; McHugh, J. V.; Whiting, M. F.; Miller, K. B. Phylogenetic analysis of the minute brown scavenger beetles (Coleoptera: Latridiidae), and recognition of a new beetle family, Akalyptoischiidae, fam. n. (Coleoptera: Cucujoidea). // Systematic Entomology. — 2010. — Т. 35. — С. 753—763. Архивировано 9 марта 2016 года.
- 1 2 3 4 5 6 7 8 9 10 11 Andrews, F. G. Akalyptoischion, a new genus of Lathridiidae from western North America (Coleoptera) // Occasional papers in entomology. — 1976. — Т. 22. — С. 1—26. Архивировано 22 ноября 2010 года.
- 1 2 3 4 5 6 7 8 9 10 11 12 13 14 15 16 Hartley, C.S.; Andrews, F.G.; McHugh, J.V. 2008: A taxonomic revision of the genus Akalyptoischion Andrews (Coleoptera: Latridiidae). Coleopterists Society monograph, (6)
Литература
- Andrews, F. G. Akalyptoischion, a new genus of Lathridiidae from western North America (Coleoptera). // Occasional papers in entomology. — 1976. — Т. 22. — С. 1—26.
- Hartley, C. S.; Andrews, F. G.; McHugh, J. V. A taxonomic revision of the genus Akalyptoischion Andrews (Coleoptera: Latridiidae) // Coleopterists Society monograph. — 2008. — Т. 6. [doi: 10.1649/0010-065X(2008)61[1:ATROTG]2.0.CO;2]
Ссылки
- Checklist Latridiidae & Merophysiinae of the World (недоступная ссылка) (англ.)
