Belonuchus
| Belonuchus | ||||||||||
|---|---|---|---|---|---|---|---|---|---|---|
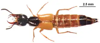
![]() Самцы a) Belonuchus aenigmaticus (паратип), b) B. nigerrimus, c) B. optatus, d) B. platypterus, e) B. juanmorronei, f) B. abnormalis, g) B. pectinipes (паралектотип), h) B. viridipennis. Длина отрезка 2,5 мм. | ||||||||||
| Научная классификация | ||||||||||
|
Домен: Царство: Подцарство: Без ранга: Без ранга: Без ранга: Без ранга: Тип: Подтип: Надкласс: Класс: Подкласс: Инфракласс: Надотряд: Отряд: Подотряд: Инфраотряд: Надсемейство: Семейство: Подсемейство: Триба: Staphylinini Подтриба: Philonthina Род: Belonuchus |
||||||||||
| Международное научное название | ||||||||||
| Belonuchus Nordmann, 1837 | ||||||||||
| Синонимы | ||||||||||
|
||||||||||
| Типовой вид | ||||||||||
|
Staphylinus haemorrhoidalis Fabricius, 1801 |
||||||||||
| ||||||||||
Belonuchus (лат.) — род жуков-стафилинид из подсемейства Staphylininae. Повсеместно описано около 200 видов данного рода.
Описание
Коротконадкрылые хищные жуки, от средних до крупных (около 1 см), удлинённая форма тела, как правило чёрные, переднеспинка и надкрылья и часть брюшка могут быть красными. Голова округло-квадратная. Большая часть видов обитает в неотропике. Живут в гниющих органических веществах (фрукты, бревна, кактусы, иногда падаль или навоз); некоторые виды в пещерах. Род Belonuchus отличается от близких групп по совокупности следующих признаков: тело обычно сплюснутое; максиллярные щупики длинные, с пальпомером IV палочковидным и заметно длиннее пальпомера III; лабиальные щупики умеренно длинные, с пальпомером III немного длиннее пальпомера II; передние членики I—IV у обоих полов простые, не расширенные, лишённые видоизменённых светлых щетинок вентрально или более или менее расширены, с некоторыми видоизменёнными светлыми щетинками вентрально. Верхняя линия гипомерона переднеспинки отогнута примерно на середине длины переднеспинки так, что латеральная точка переднеспинки, несущая длинную щетинку, отделяется от нее на расстоянии не менее трех диаметров точки; мезовентрит широко разделяет средние тазики, обычно с поперечным килем. Брюшко с первыми тремя или четырьмя видимыми тергитами несут две базальные линии; базальная линия стернита III вытянута в вершину в дугообразный отросток; стернит VIII самца медиально-вершинно вариабельно выемчатый; стернит IX самца с более или менее асимметричной базальной частью[2][3].
Взрослые особи, а у некоторых видов личинки нескольких представителей Belonuchus, в разной степени постоянно связаны с прицветниками растений рода Heliconia (Zingiberales: Heliconiaceae). Они хищники и поедают различных личинок двукрылых и чешуекрылых в этой среде обитания. Взрослые особи Belonuchus cephalotes способны полностью погружаться в воду для захвата личинок и/или куколок комаров (Culicidae)[4].
Belonuchus cinerascens
Belonuchus rufipennis

Систематика
Около 200 видов. Включён в подтрибу Philonthina трибы Staphylinini из подсемейства Staphylininae. Род был впервые выделен в 1837 году финским и русским зоологом Александром Давидовичем фон Нордманом (1803—1866) по типовому виду Staphylinus haemorrhoidalis Fabricius, 1801[2][5][6].
- Belonuchus abnormalis (Sharp, 1885)
- Belonuchus admirabilis Li & Zhou, 2010[3]
- Belonuchus aeneipennis Fauvel, 1895
- Belonuchus aeneiventris Fauvel, 1878
- Belonuchus aenigmaticus Márquez et Asiain, 2022[2]
- Belonuchus aequalis Sharp, 1876
- Belonuchus agilis Erichson, 1840
- Belonuchus albovariegatus Bernhauer, 1916
- Belonuchus alternans (Sharp, 1885)
- Belonuchus alternatus Sharp, 1885
- Belonuchus altissimus Bernhauer, 1916
- Belonuchus altivagans Bernhauer, 1916
- Belonuchus aluticollis (Bernhauer, 1921)
- Belonuchus amplipennis Fauvel, 1891
- Belonuchus amplus Blackwelder, 1943
- Belonuchus analis K.Schubert, 1911
- Belonuchus andinus Bernhauer, 1916
- Belonuchus angusticeps Scheerpeltz, 1960
- Belonuchus angusticollis Bernhauer, 1906
- Belonuchus antiguae Blackwelder, 1943
- Belonuchus aphaobius Smetana, 1995
- Belonuchus apicicornis Bernhauer, 1916
- Belonuchus apiciventris (Sharp, 1885)
- Belonuchus applanatus Li, Liang & Hongzhang Zhou, 2010
- Belonuchus argentinus Bernhauer, 1916
- Belonuchus arizonicus Casey, 1915
- Belonuchus armatus Sharp, 1876
- Belonuchus arrogans Bernhauer, 1916
- Belonuchus asperatus Bernhauer, 1906
- Belonuchus atticida (Wasmann, 1925)
- Belonuchus avidus Erichson, 1840
- Belonuchus barbicornis Bernhauer, 1916
- Belonuchus basiventris (Sharp, 1885)
- Belonuchus batesi Sharp, 1876
- Belonuchus bidens Sharp, 1885
- Belonuchus biformis Cameron, 1951
- Belonuchus bipunctatus Bernhauer, 1935
- Belonuchus boops Sharp, 1885
- Belonuchus boxi Blackwelder, 1934
- Belonuchus brasilianus Bernhauer, 1917
- Belonuchus breviceps Fauvel, 1891
- Belonuchus bruchi Bernhauer, 1912
- Belonuchus bruchianus Bernhauer, 1911
- Belonuchus bugnioni Fauvel, 1901
- Belonuchus cacao Blackwelder, 1943
- Belonuchus candens (Erichson, 1840)
- Belonuchus cariniventris Bernhauer, 1918[7]
- Belonuchus castaneus Chani-Posse, 2006
- Belonuchus cavipennis Bernhauer, 1916
- Belonuchus celatus (Sharp, 1885)
- Belonuchus cephalotes (Sharp, 1885)
- Belonuchus cifuentesi Rodríguez & Navarrete-Heredia, 2016
- Belonuchus clypeatus Sharp, 1876
- Belonuchus coelestinus Bernhauer, 1908
- Belonuchus coelestis Bernhauer, 1916
- Belonuchus coeruleispennis Motschulsky, 1858
- Belonuchus cognatus Sharp, 1885
- Belonuchus colon (Sharp, 1885)
- Belonuchus coloratus Last, 1989
- Belonuchus columbicus Bernhauer, 1916
- Belonuchus confusus Márquez et Asiain, 2022
- Belonuchus connexus (Say, 1830)
- Belonuchus convexus (Bernhauer, 1908)
- Belonuchus coomani Li & Zhou, 2010
- Belonuchus cordilleranus Bernhauer, 1916
- Belonuchus corticalis (Sharp, 1885)
- Belonuchus cribriceps Bernhauer, 1921
- Belonuchus cyanipennis Márquez et Asiain, 2022[2]
- Belonuchus danforthi Blackwelder, 1943
- Belonuchus decipiens Sharp, 1876
- Belonuchus dejectus Sharp, 1885
- Belonuchus dichrous Erichson, 1840
- Belonuchus diversicornis Bernhauer, 1917[8]
- Belonuchus docilis Sharp, 1885
- Belonuchus dominicus Blackwelder, 1943
- Belonuchus duplicatus Blackwelder, 1944
- Belonuchus ecuadorensis Bernhauer, 1935
- Belonuchus ephippiatus Say, 1834[9]
- Belonuchus erichsoni Bernhauer, 1917
- Belonuchus erythropterus Solsky, 1868
- Belonuchus excelsus Bernhauer, 1917
- Belonuchus extremus (Sharp, 1885)
- Belonuchus falsus Bernhauer, 1917
- Belonuchus fassli Bernhauer, 1917
- Belonuchus flavicoxis (Bernhauer, 1912)
- Belonuchus flavipennis Solsky, 1870
- Belonuchus flavocaudatus Bernhauer, 1921
- Belonuchus forsteri Scheerpeltz, 1960
- Belonuchus fossulatus Wasmann, 1887
- Belonuchus frater Bernhauer, 1906
- Belonuchus gagates Erichson, 1840
- Belonuchus ganglbaueri Bernhauer, 1906
- Belonuchus gedyei Cameron, 1951
- Belonuchus godmani (Sharp, 1885)[10]
- Belonuchus goeldii (Wasmann, 1925)
- Belonuchus gracilis (Sharp, 1885)
- Belonuchus grandiceps Kraatz, 1859
- Belonuchus haemorrhoidalis (Fabricius, 1801)
- Belonuchus hispaniolus Blackwelder, 1943
- Belonuchus holisoides Sharp, 1876
- Belonuchus ielskii (Solsky, 1872)
- Belonuchus imitator Cameron, 1932
- Belonuchus impressifrons Sharp, 1876
- Belonuchus infimus (Sharp, 1885)
- Belonuchus iridescens Solsky, 1868
- Belonuchus irregularis Bernhauer, 1916
- Belonuchus iteratus (Sharp, 1887)
- Belonuchus jacobianus Casey
- Belonuchus jalappensis Bernhauer, 1917
- Belonuchus juanmorronei Márquez et Asiain, 2022
- Belonuchus julietitae Márquez et Asiain, 2022
- Belonuchus laevipennis Bernhauer, 1942
- Belonuchus latecinctus (Sharp, 1885)
- Belonuchus laticeps Casey
- Belonuchus latro Erichson, 1840
- Belonuchus limbatus Fauvel, 1878
- Belonuchus linuzensis Márquez et Asiain, 2022
- Belonuchus longiceps Bernhauer, 1906
- Belonuchus longitarsus Márquez et Asiain, 2022
- Belonuchus lucilius (Sharp, 1885)
- Belonuchus maculipennis Fauvel, 1895
- Belonuchus magnificus Bernhauer, 1916
- Belonuchus magnistylus Márquez et Asiain, 2022
- Belonuchus marginicollis Lea, 1931
- Belonuchus meridionalis Bernhauer, 1916
- Belonuchus metafemoralis Márquez et Asiain, 2022
- Belonuchus mexicanus Solsky, 1864
- Belonuchus militaris Bernhauer, 1921
- Belonuchus mimeticus Sharp, 1885
- Belonuchus miripennis Bernhauer, 1916
- Belonuchus mixtecus Márquez et Asiain, 2022
- Belonuchus modestus Fauvel, 1891
- Belonuchus montanellus Bernhauer, 1916
- Belonuchus montanicus Blackwelder, 1944
- Belonuchus monticola Bernhauer, 1917
- Belonuchus moquinus Casey, 1884
- Belonuchus mordens Erichson, 1840
- Belonuchus moritzi Bernhauer, 1906
- Belonuchus moroni Márquez, Asiain & Navarrete-Heredia, 2018
- Belonuchus motoensis Cameron, 1929
- Belonuchus multipunctatus (Coiffait, 1981)
- Belonuchus mundus Erichson, 1840
- Belonuchus muticus (Sharp, 1876)
- Belonuchus nalandensis Bernhauer, 1902
- Belonuchus nigerrimus Bernhauer, 1918
- Belonuchus nullicedo C.A.Dohrn, 1892
- Belonuchus oakleyi Blackwelder, 1943
- Belonuchus obvelatus Li & Zhou, 2010
- Belonuchus oceanites (Hromádka, 2016)
- Belonuchus optatus (Sharp, 1885)
- Belonuchus oxyporimimus Márquez et Asiain, 2022
- Belonuchus oxyporinus (Sharp, 1885)
- Belonuchus pallidus Casey, 1915
- Belonuchus palustris Bernhauer, 1916
- Belonuchus panamensis Sharp, 1885
- Belonuchus paradoxipunctatus Bernhauer, 1921
- Belonuchus paradoxus Bernhauer, 1906
- Belonuchus pectinipes Bernhauer, 1910
- Belonuchus piceolus Bernhauer, 1935
- Belonuchus pictipennis Sharp, 1885
- Belonuchus planiceps Erichson, 1840
- Belonuchus platypterus (Sharp, 1885)
- Belonuchus pollens Sharp, 1885
- Belonuchus posticalis (Laporte de Castelnau, 1840)
- Belonuchus prasinipennis Bernhauer, 1917
- Belonuchus pulcher Márquez et Asiain, 2022
- Belonuchus pulchripennis Bernhauer, 1908
- Belonuchus puncticulus Rougemont, 2004[11]
- Belonuchus punctifrons (Cameron, 1926)
- Belonuchus punctiventris Casey
- Belonuchus purpuripennis Bernhauer, 1916
- Belonuchus quadrifer Casey
- Belonuchus richteri (Bernhauer, 1912)
- Belonuchus rufipennis (Fabricius, 1801)
- Belonuchus rufisternus Márquez et Asiain, 2022
- Belonuchus rufiventris (Sharp, 1887)
- Belonuchus rufocaudus (Sharp, 1885)
- Belonuchus rufoniger Fauvel, 1895
- Belonuchus rufopygus (Sharp, 1885)
- Belonuchus rugicollis Bernhauer, 1916
- Belonuchus satyrus Erichson, 1840
- Belonuchus serraticornis (Sharp, 1876)
- Belonuchus setiger Sharp, 1876
- Belonuchus sharpi Bernhauer, 1907
- Belonuchus silvestris Bernhauer, 1917
- Belonuchus similis Sharp, 1885
- Belonuchus simillimus Bernhauer, 1917
- Belonuchus simplex Sharp, 1885
- Belonuchus singularis Márquez et Asiain, 2022
- Belonuchus skalitzkyi Bernhauer, 1906
- Belonuchus spinicornis (Champion, 1913)
- Belonuchus stenoderus Sharp, 1885
- Belonuchus stenoderus Sharp, 1885
- Belonuchus subaeneipennis Bernhauer, 1916
- Belonuchus subaeneus Bernhauer, 1916
- Belonuchus subconvexus Bernhauer, 1937
- Belonuchus subsellatus Bernhauer, 1916
- Belonuchus superbus Bernhauer, 1916
- Belonuchus supernus (Herman, 2001)
- Belonuchus taczanovskii Solsky, 1872
- Belonuchus tenuistylus Márquez et Asiain, 2022
- Belonuchus tepoztecus Márquez et Asiain, 2022[2]
- Belonuchus terminalis (Laporte de Castelnau, 1840)
- Belonuchus texanus Casey
- Belonuchus tremolerasi Bernhauer, 1912
- Belonuchus trinitatus Blackwelder, 1943
- Belonuchus tripunctatus Fauvel, 1895
- Belonuchus trochanterinus (Sharp, 1885)
- Belonuchus troglophilus Smetana, 1995
- Belonuchus tucumanensis Bernhauer, 1934
- Belonuchus ussuriensis Tikhomirova, 1973
- Belonuchus variolosus Solsky, 1870
- Belonuchus venezolanus Bernhauer, 1917
- Belonuchus viridipennis Baudi di Selve, 1848
- Belonuchus vulneratus Bernhauer, 1906
- Belonuchus weiserianus (Bernhauer, 1921)
- Belonuchus xantholinoides Bernhauer, 1917
- Belonuchus xanthomelas Solsky, 1868
- Belonuchus xanthopterus (Nordmann, 1837)
- Belonuchus xanthopus Solsky, 1868
- Belonuchus zunilensis (Sharp, 1885)
Примечания
- ↑ Belonuchus Nordmann, 1837. gbif.org
- 1 2 3 4 5 Márquez J., Asiain J. Taxonomy of the Mexican species of Belonuchus Nordmann (Coleoptera: Staphylinidae) (англ.) // Zootaxa : Журнал. — 2022. — Vol. 5152, no. 1. — P. 1–129. — doi:10.11646/zootaxa.5152.1.1.
- 1 2 Liang Li, Hong-Zhang Zhou. Revision of the Chinese species of the genus Belonuchus Nordmann (Coleoptera: Staphylinidae: Philonthina) (англ.) // Journal of Natural History : Журнал. — 2010. — Vol. 44, no. 35—36. — P. 2149—2177. — doi:10.1080/00222933.2010.483069. Архивировано 10 июня 2022 года.
- ↑ Frank J.H., Barrera R. Natural history of Belonuchus Nordmann spp. and allies (Coleoptera: Staphylinidae) in Heliconia L. (Zingiberales: Heliconiaceae) flower bracts (англ.) // Insecta Mundi : Журнал. — 2010. — Vol. 110. — P. 1—12. Архивировано 19 мая 2022 года.
- ↑ Herman LH. 2001. Catalog of the Staphylinidae (Insecta: Coleoptera) 1758 to the end of the millennium. Bull Am Mus Nat Hist. 265:2241-3020
- ↑ Chani-Posse, M.R. (2011) Redescription of some South American species of Belonuchus (Coleoptera: Staphylinidae), with a checklist of the southern South American species of the genus. Revista de la Sociedad Entomológica de Argentina, 70 (3-4), 213—229.
- ↑ Bernhauer, M. (1918) Vier neue Belonuchus aus Mexiko [cont.]. Verhandlungen der Kaiserlich-Königlichen Zoologisch-Botanischen Gesellschaft in Wien, 67, 225—226.
- ↑ Bernhauer, M. (1917) Vier neue Belonuchus aus Mexiko.Verhandlungen der Kaiserlich-Königlichen Zoologisch-Botanischen Gesellschaft in Wien, 67, 223—224.
- ↑ Márquez, J., Asiain, J. & Navarrete-Heredia, J.L. (2018) Análisis taxonómico de las especies mexicanas de Belonuchus Nordmann del grupo ephippiatus (Coleoptera: Staphylinidae). Gayana, 82 (1), 26-39. https://doi.org/10.4067/S0717-65382018000100026
- ↑ Márquez, J. (2011) Redescription of Belonuchus godmani (Sharp, 1885) (Coleoptera: Staphylinidae, Staphylininae), with first national and state records. Entomological News, 121 (2), 206—211. https://doi.org/10.3157/021.121.0214
- ↑ Rougemont, G. M. de. Philonthus punctifrons Cameron removed to the genus Belonuchus Nordmann, and description of an allied new species (Col., Staphylinidae, Staphylininae). Entomologist’s Monthly Magazine, 140: 263—265. (2004).
Литература
- Navarrete-Heredia J. L., Newton A. F., Thayer M. K., Ashe J. S., Chandler D. S. Guia ilustrada para los generos de Staphylinidae (Coleoptera) de Mexico. Illustrated guide to the genera of Staphylinidae (Coleoptera) of Mexico (исп.). — Guadalajara, Jalisco: Universidad de Guadalajara y CONABIO, 2002. — 401 p. — ISBN 970-27-0180-5. (Belonuchus: pp.334—336)
- Smetana A. Rove beetles of the subtribe Philonthina of America north of Mexico (Coleoptera: Staphylinidae): Classification, phylogeny and taxonomic revision // Memoirs on Entomology, International. — 1995. — Т. 3. — P. 1—946.
Ссылки
- Genus Belonuchus bugguide.net
.png)