Linan
| Linan | ||||
|---|---|---|---|---|
![]() Linan tendothorax | ||||
| Научная классификация | ||||
|
Домен: Царство: Подцарство: Без ранга: Без ранга: Без ранга: Без ранга: Тип: Подтип: Надкласс: Класс: Подкласс: Инфракласс: Надотряд: Отряд: Подотряд: Инфраотряд: Надсемейство: Семейство: Подсемейство: Надтриба: Pselaphitae Триба: Род: Linan |
||||
| Международное научное название | ||||
| Linan Hlaváč, 2003 | ||||
| Типовой вид | ||||
| ||||
Linan (лат.) — род мелких коротконадкрылых жуков из подсемейства ощупники (Pselaphinae, Staphylinidae). Юго-Восточная Азия. Около 15 видов. Назван по локотипу в восточном Китае: район Линьань (кит. упр. 临安, пиньинь Lín'ān, провинция Чжэцзян).
Распространение
Встречается в Юго-Восточной Азии: один вид в Таиланде, все остальные в Китае[1].
Описание
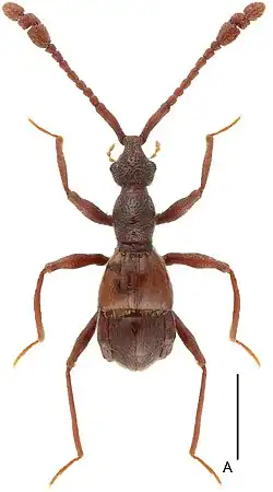
Мелкие красноватые или коричневатые коротконадкрылые жуки-ощупники, длина тела от 2 до 4 мм. Голова почти треугольной формы, совсем лишена лобных и теменных ямок или эти ямки развиты слабо, плохо заметны. Голова с нечеткими вершинной и лобной ямками; нижнечелюстные щупики с асимметричными сегментами III—IV, округло расширенными или с внешним выступом; переднеспинка с небольшими, но хорошо выраженными срединной и боковой переднебазальными ямками; голова, переднеспинка и ноги густо и грубо пунктированы; срединная метавентральная ямка имеется; метавентральные роговые отростки имеются у самца; надкрылья простые без килей[1][2][3].
Систематика
Род был впервые описан в 2003 году словацким энтомологом Петером Главачем для типового вида Lasinus chinensis Löbl, 1964[4]. В подтрибе Tyrina из трибы Tyrini род Linan образует крупный родовой комплекс вместе с родственными родами Dayao, Indophodes, Labomimus, Lasinus, Nomuraius, Paralasinus, Pselaphodes и Taiwanophodes[5]. Включает около 15 видов[1][2][3].
- Linan arcitibialis Zhang, Li et Yin, 2018[3]
- Linan cardialis Hlaváč, 2003[4]
- Linan chinensis (Löbl, 1964)[6]
- Linan denticulatus Zhang, Li et Yin, 2018[3]
- Linan divaricatus Zhang, Li et Yin, 2018[3]
- Linan geneolatus Zhang, Li et Yin, 2018[3]
- Linan hainanicus Hlaváč, 2003[4]
- Linan huapingensis Yin et Li, 2013[7]
- Linan hujiayaoi Yin et Li, 2013[7]
- Linan fortunatus Yin et Li, 2013[7]
- Linan inornatus Yin et Li, 2011[2]
- Linan mangshanus Zhang, Li et Yin, 2018[3]
- Linan megalobus Yin et Li, 2011[2]
- Linan mulunensis Zhang, Li et Yin, 2018[3]
- Linan qiniangmontis Zhao, Xu et Yin, 2019[1]
- Linan tendothorax Yin et Li, 2012[8]
- Linan uenoi Yin et Nomura, 2013[7]
Примечания
- 1 2 3 4 Zhao Q-H, Xu W, Yin Z-W (2019) A new species of Linan Hlaváč (Coleoptera, Staphylinidae, Pselaphinae) from Shenzhen, China. ZooKeys 859: 63—68. https://doi.org/10.3897/zookeys.859.35465
- 1 2 3 4 Zi-Wei Yin, Li-Zhen Li, Mei-Jun Zhao. A review of the genus Linan (Coleoptera: Staphylinidae: Pselaphinae). «Acta Entomologica Musei Nationalis Pragae». 51 (1), s. 123—135, 2011. ISSN 0374-1036 https://doi.org/10.37520/aemnp.2021.002
- 1 2 3 4 5 6 7 8 Yu-Qing Zhang, Li-Zhen Li, Zi-Wei Yin. Six new species and a new record of Linan Hlaváč in China, with a key to species (Coleoptera, Staphylinidae, Pselaphinae). ZooKeys. 793, s. 115—133, 2018. https://doi.org/10.3897/zookeys.793.27661
- 1 2 3 Peter Hlaváč. A taxonomic revision of the Tyrini of the Oriental region. II. Systematic study on the genus Pselaphodes and its allied genera (Coleoptera: Staphylinidae: Pselaphinae). Annales de la Société entomologique de France (n.s.). 38 (3), s. 283—297, 2003.
- ↑ Zi-Wei Yin, Peter Hlaváč, Li-Zhen Li. Further studies on the Pselaphodes complex of genera from China (Coleoptera, Staphylinidae, Pselaphinae). ZooKeys. 275, s. 23—65, 2013. https://doi.org/10.3897/zookeys.275.4571
- ↑ Löbl, I. (1964) Eine neue Art der Gattung Lasinus Sharp aus China (Col., Pselaphidae). Acta Rerum Naturalium Musei Nationalis Slovenici Bratislava, 10.
- 1 2 3 4 Yin, Z.-W.& L.-Z.L. (2013) Five new species of the genera Labomimus and Linan from Guangxi, South China (Coleoptera: Staphylinidae: Pselaphinae). Acta Entomologica Musei Nationalis Pragae, 53 (1). ссылка Архивная копия от 24 ноября 2023 на Wayback Machine
- ↑ Yin, Z.-W.& L.-Z.L. (2012) Notes on Michael Schülke’s pselaphine collections from China. Tyrini. I. genera Labomimus Sharp, Linan Hlaváč and Pselaphodes Westwood (Coleoptera, Staphylinidae, Pselaphinae). ZooKeys, 251.
Литература
- Chandler D. S.. Biology, morphology, and systematics of the ant-like litter beetle genera of Australia (Coleoptera: Staphylinidae: Pselaphinae). — Memoirs on Entomology, International Vol. 15. — Gainesville, FL: The Associated Publishers, 2001. — viii + 568 p. — ISBN 1-56665-073-9.

_Figure_1_(cropped).jpg)
_Figure_1_(cropped).jpg)
_Figure_4_(cropped).jpg)
_Figure_4_(cropped).jpg)
_Figure_7_(cropped).jpg)
_Figure_10_(cropped).jpg)
_Figure_7_(cropped).jpg)