Стафилины морщинистые

Стафилины морщинистые
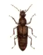
Rugilus rufipes
Rugilus rufipes
Научная классификация
Царство:
Подцарство:
Без ранга:
Без ранга:
Без ранга:
Надкласс:
Инфракласс:
Надотряд:
Надсемейство:
Семейство:
Подсемейство:
Триба:
Paederini
Подтриба:
Stilicina
Род:
Стафилины морщинистые
Международное научное название
Rugilus Samouelle, 1819
Синонимы
  • Stilicus Berthold, 1827[1]
Подроды
  • Afrostilicus
  • Allostilicus
  • Cephalostilicus
  • Eurystilicus
  • Fossulostilicus
  • Hemistilicus
  • Heterostilicus
  • Mirostilicus
  • Parastilicus
  • Pedistilicus
  • Rugilus
  • Scabrostilicus
  • Tetragnathostilicus
Логотип Викивидов
Систематика
в Викивидах
Логотип Викисклада
Поиск изображений
на Викискладе
NCBI  347455

Стафилины морщинистые[2] (лат. Rugilus) — род жуков из подсемейства Paederinae внутри семейства стафилинид. Включают около 250 видов, распространённых в умеренных областях земного шара, за исключением Новой Зеландии и Австралии[3]. Обитают в частности в лесистых местностях, по краям полей и лугов. Особи являются активными хищниками, живущие среди опавшей листвы, в компостных кучах и разлагающейся органической материи[3]. Представители данного рода имеют следующие характерные черты: голова шире надкрылий, шея очень узкая, переднеспинка довольно узкая, простернум расширен. Внешне очень напоминают больших муравьёв[3].

Описание

Верхняя губа посередине с двумя зубчиками. Вершины средних и задних голеней срезаны прямо. Голова значительно шире переднеспинки, её задний край закруглён[4].

Систематика

Некоторые виды[5]:

  • вид: Rugilus affinis Erichson, 1839
  • вид: Rugilus angustatus (Geoffroy, 1785)
  • вид: Rugilus antoinei Peyerimhoff, 1937
  • вид: Rugilus arabs Saulcy, 1865
  • вид: Rugilus armeniacus Coiffait, 1970
  • вид: Rugilus bagmaticolus Rougemont, 1998
  • вид: Rugilus bhotius Rougemont, 1987
  • вид: Rugilus bimaculatus Motschulsky, 1860
  • вид: Rugilus brahmanus Coiffait, 1978
  • вид: Rugilus capitalis Gemminger & Harold, 1868
  • вид: Rugilus caporiaccoi Bernhauer, 1934
  • вид: Rugilus ceylanensis Kraatz, 1859
  • вид: Rugilus chinensis Bernhauer, 1938
  • вид: Rugilus chthonus Blackwelder, 1943[6]
  • вид: Rugilus couloni Drugmand, 1989
  • вид: Rugilus dilutipes (Reitter, 1884)
  • вид: Rugilus dorjulensis Coiffait, 1978
  • вид: Rugilus emodensis Coiffait, 1982
  • вид: Rugilus erichsonii Fauvel, 1867
  • вид: Rugilus exiguus Heer, 1839
  • вид: Rugilus festivus Mulsant & Rey, 1853
  • вид: Rugilus flavipes Motschulsky, 1860
  • вид: Rugilus fragilis Gravenhorst, 1806
  • вид: Rugilus fuscipes Erichson, 1840
  • вид: Rugilus gaditanus Peyerimhoff, 1937
  • вид: Rugilus gansuensis Rougemont, 1998
  • вид: Rugilus geniculatus Erichson, 1839
  • вид: Rugilus gogonensis Coiffait, 1978
  • вид: Rugilus gracilis Eppelsheim, 1895
  • вид: Rugilus hungaricus Csiki, 1937
  • вид: Rugilus ibericus Fagel, 1959
  • вид: Rugilus immunis Stephens, 1833
  • вид: Rugilus indicus Cameron, 1914
  • вид: Rugilus iranicus Coiffait, 1981
  • вид: Rugilus japonicus Watanabe, 1961
  • вид: Rugilus khalash Rougemont, 1988
  • вид: Rugilus latiparameris Rougemont, 1998
  • вид: Rugilus latiusculus Casey, 1885
  • вид: Rugilus lesbius V. Assing, 2005[7]
  • вид: Rugilus longicollis Fauvel, 1900
  • вид: Rugilus longiparameris Rougemont, 1998
  • вид: Rugilus longipennis Sharp, 1889
  • вид: Rugilus maltzevi Gusarov, 1991
  • вид: Rugilus maxillosus Lentz, 1856
  • вид: Rugilus mixtus Lohse, 1956
  • вид: Rugilus morvani Rougemont, 1987
  • вид: Rugilus nematideus Gistel, 1857
  • вид: Rugilus nepalensis Scheerpeltz, 1976
  • вид: Rugilus orbiculatus Paykull, 1789
  • вид: Rugilus oregonus Casey, 1905
  • вид: Rugilus paradoxus Bernhauer, 1936
  • вид: Rugilus parvus Cameron, 1931
  • вид: Rugilus pecticensisis Coiffait, 1939
  • вид: Rugilus pictipennis Reitter, 1909
  • вид: Rugilus plagiatus Cameron, 1924
  • вид: Rugilus praelongus Cameron, 1924
  • вид: Rugilus prodoni Coiffait, 1982
  • вид: Rugilus prolongatus Solsky, 1874
  • вид: Rugilus pulcher Peyerimhoff, 1929
  • вид: Rugilus punctipennis Stephens, 1833
  • вид: Rugilus pygmaeus Kraatz, 1859
  • вид: Rugilus quadridentatus Coiffait, 1975
  • вид: Rugilus reitteri Bernhauer, 1938
  • вид: Rugilus rossii Zanetti, 1977
  • вид: Rugilus rufescens Sharp, 1874
  • вид: Rugilus ruficornis Lucas, 1846
  • вид: Rugilus rufipes Germar, 1836
  • вид: Rugilus salicetorum Gistel, 1857
  • вид: Rugilus sardous Lohse, 1956
  • вид: Rugilus schawalleri Rougemont, 1998
  • вид: Rugilus scutellatus Motschulsky, 1858
  • вид: Rugilus similis Erichson, 1839
  • вид: Rugilus simlaensis Cameron, 1931
  • вид: Rugilus smetanai Rougemont, 1998
  • вид: Rugilus starkei Assing & Feldmann, 2001
  • вид: Rugilus subtilis Erichson, 1840
  • вид: Rugilus tauricus Rougemont, 1988
  • вид: Rugilus velutinus Fauvel, 1895
  • вид: Rugilus wittmeri Coiffait, 1978

Примечания

  1. Систематика и синонимия (англ.). BioLib. Дата обращения: 1 октября 2011. Архивировано 1 мая 2021 года.
  2. Мамаев Б. М. Определитель насекомых по личинкам. М.: Просвещение, 1972. — С. 128. — 400 с.
  3. 1 2 3 Hoebeke, E. Richard. Three Palearctic species of Rugilus Leach in North America (Coleoptera: Staphylinidae, Paederinae): redescriptions, new synonymy, and new records (англ.) // Insecta Mundi. — Nebraska: University of Nebraska, 1995. Vol. 9, no. 1-2. P. 69—80. Архивировано 6 марта 2016 года.
  4. Определитель насекомых европейской части СССР. Т. II. Жесткокрылые и веерокрылые / под общ. ред. чл.-корр. Г. Я. Бей-Биенко. М.Л.: Наука, 1965. — С. 111—156. — 668 с. — (Определители по фауне СССР, издаваемые Зоологическим институтом АН СССР; вып. 89). 5700 экз.
  5. Lobl, I. & Smetana, A. Catalogue of Palaearctic Coleoptera (англ.). — 2004. Vol. II. Архивировано 23 сентября 2015 года.
  6. Perez-Gelabert, Daniel E. Arthropods of Hispaniola (Dominican Republic and Haiti): A checklist and bibliography (англ.) // Zootaxa. — Auckland, New Zealand: Magnolia Press, 2008. Vol. 1831. ISBN 978-1-86977-220-8.
  7. V. Assing. Two new species and new records of Staphylinidae from the Greek island Lesbos (Insecta: Coleoptera) (англ.) // Linzer biol. Beitr.. — 2005. Vol. 37, no. 2. P. 1035-1046.

Ссылки

  • Подроды (англ.). Сайт «TolWeb»: Tree of Life project. Дата обращения: 1 октября 2011. Архивировано из оригинала 4 мая 2012 года.