Stenodema sibirica
| Stenodema sibirica | ||||
|---|---|---|---|---|
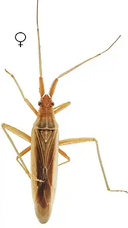
![]() Самка | ||||
| Научная классификация | ||||
|
Домен: Царство: Подцарство: Без ранга: Без ранга: Без ранга: Без ранга: Тип: Подтип: Надкласс: Класс: Подкласс: Инфракласс: Клада: Надотряд: Отряд: Подотряд: Инфраотряд: Надсемейство: Miroidea Семейство: Подсемейство: Триба: Stenodemini Род: Вид: Stenodema sibirica |
||||
| Международное научное название | ||||
| Stenodema sibirica Bergroth, 1914[1] | ||||
| Синонимы[2] | ||||
|
||||
| ||||
Stenodema sibirica (лат.) — вид клопов-слепняков рода Stenodema из подсемейства Mirinae (Miridae).
Распространение
Южная Сибирь, Дальний Восток России, Корея, Монголия, северный Китай[3][4][5][6].
Описание
Растительноядные клопы удлинённой формы[7]. Длина 5,8—6,8 мм (до 9 мм[7]). От близких видов отличается следующими признаками: лоб, выступающий над основанием наличника; волоски на хемилитроне простые; хемилитрон коричневый до тёмно-коричневого медиально и жёлтый до бледно-коричневого по внешнему краю; у самца отношение ширина вертекса/глаз 2,1—2,4; лабиум достигает мезококсы, но не превосходит её; заднее бедро лишь слегка сужается к вершине, без шипов; волоски на заднем крае заднего бедра такие же густые, как на других частях бедра, короче половины заднего бедра; задние голени не изогнуты базально; вздутие на проплевре изогнуто; отношение длины антеннального сегмента I к ширине головы у самца 1,0, у самки 0,9—1,0; отношение длины антеннального сегмента I к длине пронотума у самца 0,8—0,9, у самки 0,8; антеннальный сегмент I шире или немного уже диаметра глаза; бороздка на задней части мезоплевр отсутствует; парные ямки между calli отсутствуют, волоски на антеннальном сегменте I короче ширины антеннального сегмента I[3][5].
Примечания
- ↑ Bergroth E. (1914). Zwei neue paläarktische Hemipteren, nebst synonymischen Mitteilungen. Wiener Entomologische Zeitung 33: 177—184.
- ↑ Stenodema sibirica Архивная копия от 14 августа 2024 на Wayback Machine gbif.org
- 1 2 Namyatova A. A., Dzhelali P. A., Konstantinov F. V. Delimitation of the widely distributed Palearctic Stenodema species (Hemiptera, Heteroptera, Miridae): insights from molecular and morphological data (англ.) // ZooKeys : Журнал. — 2024. — Vol. 1209. — P. 245—294. — doi:10.3897/zookeys.1209.124766. Архивировано 30 июля 2014 года.
- ↑ Kerzhner I. M. & Josifov M. Miridae // Catalogue of the Heteroptera of the Palaearctic Region. Volume 3: Miridae / Aukema, B. & Chr. Rieger (editors). — Amsterdam: The Netherlands Entomological Society, 1999. — С. 51. — 592 с. — ISBN 9789071912191.
- 1 2 Муминов Н. Н. Виды рода Stenodema (Heteroptera, Miridae) фауны СССР и Монголии // Насекомые Монголии : Сборник. — Л.: Наука, 1989. — С. 126—135. — ISBN 5-02-025840-7.
- ↑ Yasunaga T. (2019) Taxonomic review of the plant bug genus Stenodema in Japan, with description of a new species (Hemiptera: Heteroptera: Miridae). Heteropterus Revista de Entomología 19(2): 295—311.
- 1 2 Определитель насекомых Дальнего Востока СССР. Т. II. Равнокрылые и полужесткокрылые / под общ. ред. П. А. Лера. — Л.: Наука, 1988. — С. 822. — 972 с. — 1950 экз. — ISBN 5-7442-0921-2.
Литература
- Муминов Н. Н. Виды рода Stenodema (Heteroptera, Miridae) фауны СССР и Монголии // Насекомые Монголии : Сборник. — Л.: Наука, 1989. — С. 126—135. — ISBN 5-02-025840-7.
